REQUEST A TOUR If you would like to see this home without being there in person, select the "Virtual Tour" option and your agent will contact you to discuss available opportunities.
In-PersonVirtual Tour

$ 158,900
Est. payment /mo
Active
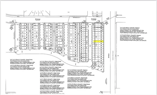
4425 69 Street Camrose, AB T4V 2P7
4,740 Sqft Lot
UPDATED:
Key Details
Property Type Vacant Land
Sub Type Residential Land
Listing Status Active
Purchase Type For Sale
Subdivision West Park
MLS® Listing ID A2016608
Annual Tax Amount $922
Tax Year 2025
Lot Size 4,740 Sqft
Acres 0.11
Lot Dimensions 14'2\"x27'8\"x91'9\"x27'8\"x154'5\"
Property Sub-Type Residential Land
Source Central Alberta
Property Description
Welcome to West Park's newest development....Lakeside!!! This development is situated close to shopping and dining. You can access the walking path along the lake and build your own home! Don't miss out on an amazing opportunity in 2026.
Location
State AB
County Camrose
Zoning R2
Exterior
Fence None
Community Features Shopping Nearby
Lot Frontage 29.0
Others
Restrictions Architectural Guidelines
Tax ID 56489205
Ownership Private
Listed by RE/MAX Real Estate (Edmonton) Ltd.






